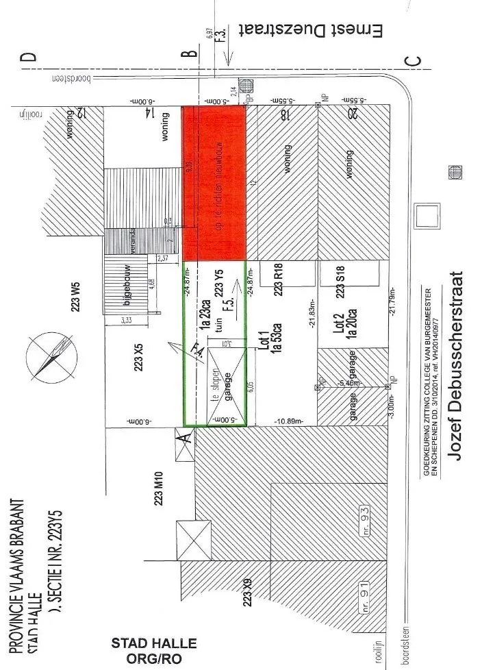
Ernest Duezstraat 16, 1500 Hal
124m²
Description
Terrain à bâtir avec de nombreuses possibilités dans un quartier calme
Découvrez ce terrain unique de 25 mètres de profondeur, situé dans un environnement calme et agréable. Avec une largeur de 5 mètres et une profondeur de construction maximale de 12 mètres, ce terrain offre de nombreuses possibilités pour réaliser la maison de vos rêves.
Grâce à ses dimensions idéales, ce terrain est parfaitement adapté à une maison de ville conviviale ou à un design moderne avec tout le confort nécessaire. De plus, il n’y a aucune obligation de construction, ce qui vous donne la liberté de construire à votre rythme et selon vos envies.
Son emplacement central combine tranquillité et proximité des commerces, des écoles et des transports en commun, faisant de ce terrain un excellent choix pour ceux qui recherchent à la fois calme et accessibilité.
Laissez-vous inspirer par les possibilités offertes par ce terrain et concrétisez vos projets résidentiels. Contactez-nous dès aujourd’hui pour plus d’informations ou une visite !
Votre contact
.png)
Alexander Willems
+ 32 498 56 62 40
alex@claeswillems.be
ref: 6522033
Plus d'informationFinances
- Prix: € 99.000,00
- Servitude: Non
Terrain
- Superficie terrain: 124,00 m²
- Profondeur terrain: 24,87 m
Urbanisme
- Affectation: Zone d'habitat
- Permis de bâtir: Oui
- Permis de lotir: Non
- Droit de préemption: Non
- Intimation en justice: Non communiqué
- Zone innondable: pas situé en zone inondable
- P-score: A
- Jugement en cours: Non
Localisation géographique
- Environnement: Central, résidentiel
- École à proximité: 1.000m
- Commerces à proximité: 550m
- Transports publics à proximité: 180m
- Autoroute à proximité: 2.000m
- Centre sportif à proximité: 650m
Techniques
- Électricité: Oui